Szczegóły licytacji
Komornik Sądowy
przy Sądzie Rejonowym w Suwałkach
Tomasz Zakrzewski
Kancelaria Komornicza, Sejneńska 51, Suwałki, 16-400 Suwałki
tel. 87 566 21 45 / fax. 87 56621 45
Sygnatura: TZ Km 1673/19
OBWIESZCZENIE O PIERWSZEJ LICYTACJI NIERUCHOMOŚCI W TRYBIE UPROSZCZONYM
Komornik Sądowy przy Sądzie Rejonowym w Suwałkach podaje do publicznej wiadomości, że w sprawie TZ Km 1673/19 w dniu 09-04-2026 o godz. 09:00 w kancelarii komornika mieszczącej się pod adresem: 16-400 Suwałki, ul. Sejneńska 51, rozpocznie się w trybie ustalonym w art. 10136 w zw. z art. 867 ustawy z dnia 17 listopada 1964 r. Kodeks postępowania cywilnego (dalej: kpc), pierwsza licytacja nieruchomości:
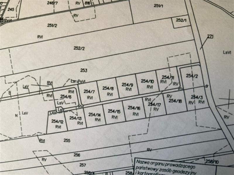
- nieruchomości, której położonej przy , 16-423 Bakałarzewo, dla której Sąd Rejonowy w Suwałkach (adres: ul. Waryńskiego 45, Suwałki, 16-400 Suwałki) prowadzi księgę wieczystą o numerze SU1S/00069226/4.
Opis nieruchomości:
Działki położone przy Dolinie Rospudy. Każda z działek, poprzez udział w działce o numerze 254/5 (droga dojazdowa), posiada dostęp do Jeziora Sumowo Bakałarzewskie.
Dłużnik współpracuje z komornikiem w celu sprzedaży nieruchomości.
Prawdopodobnie sprzedaż tylko 1 lub 2 działek zaspokoi wierzycieli.
Działki będą sprzedawane w następującej kolejności, aż do zaspokojenia wierzycieli: 254/18, 254/10, 254/17, 254/9, 254/16, 254/8, 254/15, 254/7, 254/14, 254/12, 254/11, 254/13, 254/6.
1) Nieruchomość niezabudowana, działka nr 254/18 o pow. 0,3023 ha, Bakałarzewo wraz z udziałem 4/100 w drodze dojazdowej (działka nr 254/5) (wartość działki, udziału: 113400,00zł i 10830,00zł) dla której Wydział Ksiąg Wieczystych Sądu Rejonowego w Suwałkach prowadzi księgę wieczystą o numerze SU1S/00069226/4.
Suma oszacowania działki wraz z udziałem w drodze dojazdowej wynosi 124230,00 zł, zaś cena wywołania jest równa 3/4 sumy oszacowania i wynosi 93172,50 zł. Rękojmia wynosi: 12423,00 zł.
Podatek od czynności cywilno - prawnych płaci kupujący.
W ciągu dwóch tygodni przed licytacją wolno oglądać wyżej wymienioną nieruchomość w dni powszednie od godz. 09:00 do godz. 15:00.
Suma oszacowania wynosi 124 230,00 zł, zaś cena wywołania jest równa 3/4 sumy oszacowania i wynosi 93 172,50 zł. Licytant przystępujący do przetargu powinien złożyć rękojmię w wysokości jednej dziesiątej sumy oszacowania, to jest kwotę 12 423,00 zł.
Stawienie się jednego licytanta wystarcza do odbycia przetargu.
- nieruchomości, której położonej przy , 16-423 Bakałarzewo, dla której Sąd Rejonowy w Suwałkach (adres: ul. Waryńskiego 45, Suwałki, 16-400 Suwałki) prowadzi księgę wieczystą o numerze SU1S/00069226/4.
Opis nieruchomości:
Działki położone przy Dolinie Rospudy. Każda z działek, poprzez udział w działce o numerze 254/5 (droga dojazdowa), posiada dostęp do Jeziora Sumowo Bakałarzewskie.
Dłużnik współpracuje z komornikiem w celu sprzedaży nieruchomości.
Prawdopodobnie sprzedaż tylko 1 lub 2 działek zaspokoi wierzycieli.
Działki będą sprzedawane w następującej kolejności, aż do zaspokojenia wierzycieli: 254/18, 254/10, 254/17, 254/9, 254/16, 254/8, 254/15, 254/7, 254/14, 254/12, 254/11, 254/13, 254/6.
2) Nieruchomość niezabudowana, działka nr 254/10 o pow. 0,3024 ha, Bakałarzewo wraz z udziałem 4/100 w drodze dojazdowej (działka nr 254/5) (wartość działki, udziału: 113400,00zł i 10830,00zł) dla której Wydział Ksiąg Wieczystych Sądu Rejonowego w Suwałkach prowadzi księgę wieczystą o numerze SU1S/00069226/4.
Suma oszacowania działki wraz z udziałem w drodze dojazdowej wynosi 124230,00 zł, zaś cena wywołania jest równa 3/4 sumy oszacowania i wynosi 93172,50 zł. Rękojmia wynosi: 12423,00 zł.
W ciągu dwóch tygodni przed licytacją wolno oglądać wyżej wymienioną nieruchomość w dni powszednie od godz. 09:00 do godz. 15:00.
Suma oszacowania wynosi 124 230,00 zł, zaś cena wywołania jest równa 3/4 sumy oszacowania i wynosi 93 172,50 zł. Licytant przystępujący do przetargu powinien złożyć rękojmię w wysokości jednej dziesiątej sumy oszacowania, to jest kwotę 12 423,00 zł.
Stawienie się jednego licytanta wystarcza do odbycia przetargu.
- nieruchomości, której położonej przy , 16-423 Bakałarzewo, dla której Sąd Rejonowy w Suwałkach (adres: ul. Waryńskiego 45, Suwałki, 16-400 Suwałki) prowadzi księgę wieczystą o numerze SU1S/00069226/4.
Opis nieruchomości:
Działki położone przy Dolinie Rospudy. Każda z działek, poprzez udział w działce o numerze 254/5 (droga dojazdowa), posiada dostęp do Jeziora Sumowo Bakałarzewskie.
Dłużnik współpracuje z komornikiem w celu sprzedaży nieruchomości.
Prawdopodobnie sprzedaż tylko 1 lub 2 działek zaspokoi wierzycieli.
Działki będą sprzedawane w następującej kolejności, aż do zaspokojenia wierzycieli: 254/18, 254/10, 254/17, 254/9, 254/16, 254/8, 254/15, 254/7, 254/14, 254/12, 254/11, 254/13, 254/6.
3) Nieruchomość niezabudowana, działka nr 254/17 o pow. 0,3025 ha, Bakałarzewo wraz z udziałem 4/100 w drodze dojazdowej (działka nr 254/5) (wartość działki, udziału: 113500,00zł i 10830,00zł dla której Wydział Ksiąg Wieczystych Sądu Rejonowego w Suwałkach prowadzi księgę wieczystą o numerze SU1S/00069226/4.
Suma oszacowania działki wraz z udziałem w drodze dojazdowej wynosi 124330,00 zł, zaś cena wywołania jest równa 3/4 sumy oszacowania i wynosi 93247,50 zł. Rękojmia wynosi: 12433,00 zł.
W ciągu dwóch tygodni przed licytacją wolno oglądać wyżej wymienioną nieruchomość w dni powszednie od godz. 09:00 do godz. 15:00.
Suma oszacowania wynosi 124 330,00 zł, zaś cena wywołania jest równa 3/4 sumy oszacowania i wynosi 93 247,50 zł. Licytant przystępujący do przetargu powinien złożyć rękojmię w wysokości jednej dziesiątej sumy oszacowania, to jest kwotę 12 433,00 zł.
Stawienie się jednego licytanta wystarcza do odbycia przetargu.
- nieruchomości, której położonej przy , 16-423 Bakałarzewo, dla której Sąd Rejonowy w Suwałkach (adres: ul. Waryńskiego 45, Suwałki, 16-400 Suwałki) prowadzi księgę wieczystą o numerze SU1S/00069226/4.
Opis nieruchomości:
Działki położone przy Dolinie Rospudy. Każda z działek, poprzez udział w działce o numerze 254/5 (droga dojazdowa), posiada dostęp do Jeziora Sumowo Bakałarzewskie.
Dłużnik współpracuje z komornikiem w celu sprzedaży nieruchomości.
Prawdopodobnie sprzedaż tylko 1 lub 2 działek zaspokoi wierzycieli.
Działki będą sprzedawane w następującej kolejności, aż do zaspokojenia wierzycieli: 254/18, 254/10, 254/17, 254/9, 254/16, 254/8, 254/15, 254/7, 254/14, 254/12, 254/11, 254/13, 254/6.
4) Nieruchomość niezabudowana, działka nr 254/9 o pow. 0,3024 ha, Bakałarzewo wraz z udziałem 4/100 w drodze dojazdowej (działka nr 254/5) (wartość działki, udziału: 113400,00zł i 10830,00zł) dla której Wydział Ksiąg Wieczystych Sądu Rejonowego w Suwałkach prowadzi księgę wieczystą o numerze SU1S/00069226/4.
Suma oszacowania działki wraz z udziałem w drodze dojazdowej wynosi 124230,00 zł, zaś cena wywołania jest równa 3/4 sumy oszacowania i wynosi 93172,50 zł. Rękojmia wynosi: 12423,00 zł.
W ciągu dwóch tygodni przed licytacją wolno oglądać wyżej wymienioną nieruchomość w dni powszednie od godz. 09:00 do godz. 15:00.
Suma oszacowania wynosi 124 230,00 zł, zaś cena wywołania jest równa 3/4 sumy oszacowania i wynosi 93 172,50 zł. Licytant przystępujący do przetargu powinien złożyć rękojmię w wysokości jednej dziesiątej sumy oszacowania, to jest kwotę 12 423,00 zł.
Stawienie się jednego licytanta wystarcza do odbycia przetargu.
- nieruchomości, której położonej przy , 16-423 Bakałarzewo, dla której Sąd Rejonowy w Suwałkach (adres: ul. Waryńskiego 45, Suwałki, 16-400 Suwałki) prowadzi księgę wieczystą o numerze SU1S/00069226/4.
Opis nieruchomości:
Działki położone przy Dolinie Rospudy. Każda z działek, poprzez udział w działce o numerze 254/5 (droga dojazdowa), posiada dostęp do Jeziora Sumowo Bakałarzewskie.
Dłużnik współpracuje z komornikiem w celu sprzedaży nieruchomości.
Prawdopodobnie sprzedaż tylko 1 lub 2 działek zaspokoi wierzycieli.
Działki będą sprzedawane w następującej kolejności, aż do zaspokojenia wierzycieli: 254/18, 254/10, 254/17, 254/9, 254/16, 254/8, 254/15, 254/7, 254/14, 254/12, 254/11, 254/13, 254/6.
5) Nieruchomość niezabudowana, działka nr 254/16 o pow. 0,3024 ha, Bakałarzewo wraz z 4/100 udziałem w drodze dojazdowej (działka nr 254/5) (wartość działki, udziału: 113400,00zł i 10830,00zł) dla której Wydział Ksiąg Wieczystych Sądu Rejonowego w Suwałkach prowadzi księgę wieczystą o numerze SU1S/00069226/4.
Suma oszacowania działki wraz z udziałem w drodze dojazdowej wynosi 124230,00 zł, zaś cena wywołania jest równa 3/4 sumy oszacowania i wynosi 93172,50 zł. Rękojmia wynosi 12423,00 zł.
W ciągu dwóch tygodni przed licytacją wolno oglądać wyżej wymienioną nieruchomość w dni powszednie od godz. 09:00 do godz. 15:00.
Suma oszacowania wynosi 124 230,00 zł, zaś cena wywołania jest równa 3/4 sumy oszacowania i wynosi 93 172,50 zł. Licytant przystępujący do przetargu powinien złożyć rękojmię w wysokości jednej dziesiątej sumy oszacowania, to jest kwotę 12 423,00 zł.
Stawienie się jednego licytanta wystarcza do odbycia przetargu.
- nieruchomości, której położonej przy , 16-423 Bakałarzewo, dla której Sąd Rejonowy w Suwałkach (adres: ul. Waryńskiego 45, Suwałki, 16-400 Suwałki) prowadzi księgę wieczystą o numerze SU1S/00069226/4.
Opis nieruchomości:
Działki położone przy Dolinie Rospudy. Każda z działek, poprzez udział w działce o numerze 254/5 (droga dojazdowa), posiada dostęp do Jeziora Sumowo Bakałarzewskie.
Dłużnik współpracuje z komornikiem w celu sprzedaży nieruchomości.
Prawdopodobnie sprzedaż tylko 1 lub 2 działek zaspokoi wierzycieli.
Działki będą sprzedawane w następującej kolejności, aż do zaspokojenia wierzycieli: 254/18, 254/10, 254/17, 254/9, 254/16, 254/8, 254/15, 254/7, 254/14, 254/12, 254/11, 254/13, 254/6.
6) Nieruchomość niezabudowana, działka nr 254/8 o pow. 0,3024 ha Bakałarzewo wraz z udziałem 4/100 w drodze dojazdowej (działka nr 254/5) (wartość działki, udziału: 113400,00zł i 10830,00zł) dla której Wydział Ksiąg Wieczystych Sądu Rejonowego w Suwałkach prowadzi księgę wieczystą o numerze SU1S/00069226/4.
Suma oszacowania działki wraz z udziałem w drodze dojazdowej wynosi 124230,00 zł, zaś cena wywołania jest równa 3/4 sumy oszacowania i wynosi 93172,50,00 zł. Rękojmia wynosi: 12423,00 zł.
W ciągu dwóch tygodni przed licytacją wolno oglądać wyżej wymienioną nieruchomość w dni powszednie od godz. 09:00 do godz. 15:00.
Suma oszacowania wynosi 124 230,00 zł, zaś cena wywołania jest równa 3/4 sumy oszacowania i wynosi 93 172,50 zł. Licytant przystępujący do przetargu powinien złożyć rękojmię w wysokości jednej dziesiątej sumy oszacowania, to jest kwotę 12 423,00 zł.
Stawienie się jednego licytanta wystarcza do odbycia przetargu.
- nieruchomości, której położonej przy , 16-423 Bakałarzewo, dla której Sąd Rejonowy w Suwałkach (adres: ul. Waryńskiego 45, Suwałki, 16-400 Suwałki) prowadzi księgę wieczystą o numerze SU1S/00069226/4.
Opis nieruchomości:
Działki położone przy Dolinie Rospudy. Każda z działek, poprzez udział w działce o numerze 254/5 (droga dojazdowa), posiada dostęp do Jeziora Sumowo Bakałarzewskie.
Dłużnik współpracuje z komornikiem w celu sprzedaży nieruchomości.
Prawdopodobnie sprzedaż tylko 1 lub 2 działek zaspokoi wierzycieli.
Działki będą sprzedawane w następującej kolejności, aż do zaspokojenia wierzycieli: 254/18, 254/10, 254/17, 254/9, 254/16, 254/8, 254/15, 254/7, 254/14, 254/12, 254/11, 254/13, 254/6.
7) Nieruchomość niezabudowana, działka nr 254/15 o pow. 0,3021 ha, Bakałarzewo wraz z udziałem 4/100 w drodze dojazdowej (działka nr 254/5) (wartość działki, udziału: 113300,00zł i 10830,00zł) dla której Wydział Ksią Sądu Rejonowego w Suwałkach prowadzi księgę wieczystą o numerze SU1S/00069226/4.
Suma oszacowania działki wraz z udziałem w drodze dojazdowej wynosi 124130,00 zł, zaś cena wywołania jest równa 3/4 sumy oszacowania i wynosi 93097,50 zł. Rękojmia wynosi 12413,00 zł.
W ciągu dwóch tygodni przed licytacją wolno oglądać wyżej wymienioną nieruchomość w dni powszednie od godz. 09:00 do godz. 15:00.
Suma oszacowania wynosi 124 130,00 zł, zaś cena wywołania jest równa 3/4 sumy oszacowania i wynosi 93 097,50 zł. Licytant przystępujący do przetargu powinien złożyć rękojmię w wysokości jednej dziesiątej sumy oszacowania, to jest kwotę 12 413,00 zł.
Stawienie się jednego licytanta wystarcza do odbycia przetargu.
- nieruchomości, której położonej przy , 16-423 Bakałarzewo, dla której Sąd Rejonowy w Suwałkach (adres: ul. Waryńskiego 45, Suwałki, 16-400 Suwałki) prowadzi księgę wieczystą o numerze SU1S/00069226/4.
Opis nieruchomości:
Działki położone przy Dolinie Rospudy. Każda z działek, poprzez udział w działce o numerze 254/5 (droga dojazdowa), posiada dostęp do Jeziora Sumowo Bakałarzewskie.
Dłużnik współpracuje z komornikiem w celu sprzedaży nieruchomości.
Prawdopodobnie sprzedaż tylko 1 lub 2 działek zaspokoi wierzycieli.
Działki będą sprzedawane w następującej kolejności, aż do zaspokojenia wierzycieli: 254/18, 254/10, 254/17, 254/9, 254/16, 254/8, 254/15, 254/7, 254/14, 254/12, 254/11, 254/13, 254/6.
8) Nieruchomość niezabudowana, działka nr 254/7 o pow. 0,3032 ha, Bakałarzewo wraz z udziałem 4/100 w drodze dojazdowej (działka nr 254/5) (wartość działki, udziału: 113700,00zł i 10830,00zł) dla której Wydział Ksiąg Wieczystych Sądu Rejonowego w Suwałkach prowadzi księgę wieczystą o numerze SU1S/00069226/4.
Suma oszacowania działki wraz z udziałem w drodze dojazdowej wynosi 124530,00 zł, zaś cena wywołania jest równa 3/4 sumy oszacowania i wynosi 93397,05 zł. Rękojmia wynosi: 12453,00 zł.
W ciągu dwóch tygodni przed licytacją wolno oglądać wyżej wymienioną nieruchomość w dni powszednie od godz. 09:00 do godz. 15:00.
Suma oszacowania wynosi 124 530,00 zł, zaś cena wywołania jest równa 3/4 sumy oszacowania i wynosi 93 397,50 zł. Licytant przystępujący do przetargu powinien złożyć rękojmię w wysokości jednej dziesiątej sumy oszacowania, to jest kwotę 12 453,00 zł.
Stawienie się jednego licytanta wystarcza do odbycia przetargu.
- nieruchomości, której położonej przy , 16-423 Bakałarzewo, dla której Sąd Rejonowy w Suwałkach (adres: ul. Waryńskiego 45, Suwałki, 16-400 Suwałki) prowadzi księgę wieczystą o numerze SU1S/00069226/4.
Opis nieruchomości:
Działki położone przy Dolinie Rospudy. Każda z działek, poprzez udział w działce o numerze 254/5 (droga dojazdowa), posiada dostęp do Jeziora Sumowo Bakałarzewskie.
Dłużnik współpracuje z komornikiem w celu sprzedaży nieruchomości.
Prawdopodobnie sprzedaż tylko 1 lub 2 działek zaspokoi wierzycieli.
Działki będą sprzedawane w następującej kolejności, aż do zaspokojenia wierzycieli: 254/18, 254/10, 254/17, 254/9, 254/16, 254/8, 254/15, 254/7, 254/14, 254/12, 254/11, 254/13, 254/6.
9) Nieruchomość niezabudowana, działka nr 254/14 o pow. 0,3005 ha, Bakałarzewo wraz z udziałem 3/100 w drodze dojazdowej (działka nr 254/5) (wartość działki, udziału: 112700,00zł i 8120,00zł) dla której Wydział Ksiąg Wieczystych Sądu Rejonowego w Suwałkach prowadzi księgę wieczystą o numerze SU1S/00069226/4.
Suma oszacowania działki wraz z udziałem w drodze dojazdowej wynosi 120820,00 zł, zaś cena wywołania jest równa 3/4 sumy oszacowania i wynosi 90615,00 zł. Rękojmia wynosi: 12082,00 zł.
W ciągu dwóch tygodni przed licytacją wolno oglądać wyżej wymienioną nieruchomość w dni powszednie od godz. 09:00 do godz. 15:00.
Suma oszacowania wynosi 120 820,00 zł, zaś cena wywołania jest równa 3/4 sumy oszacowania i wynosi 90 615,00 zł. Licytant przystępujący do przetargu powinien złożyć rękojmię w wysokości jednej dziesiątej sumy oszacowania, to jest kwotę 12 082,00 zł.
Stawienie się jednego licytanta wystarcza do odbycia przetargu.
- nieruchomości, której położonej przy , 16-423 Bakałarzewo, dla której Sąd Rejonowy w Suwałkach (adres: ul. Waryńskiego 45, Suwałki, 16-400 Suwałki) prowadzi księgę wieczystą o numerze SU1S/00069226/4.
Opis nieruchomości:
Działki położone przy Dolinie Rospudy. Każda z działek, poprzez udział w działce o numerze 254/5 (droga dojazdowa), posiada dostęp do Jeziora Sumowo Bakałarzewskie.
Dłużnik współpracuje z komornikiem w celu sprzedaży nieruchomości.
Prawdopodobnie sprzedaż tylko 1 lub 2 działek zaspokoi wierzycieli.
Działki będą sprzedawane w następującej kolejności, aż do zaspokojenia wierzycieli: 254/18, 254/10, 254/17, 254/9, 254/16, 254/8, 254/15, 254/7, 254/14, 254/12, 254/11, 254/13, 254/6.
10) Nieruchomość niezabudowana, działka nr 254/12 o pow. 0,3062 ha, Bakałarzewo wraz z udziałem 4/100 w drodze dojazdowej (działka nr 254/5) (wartość działki, udziału: 114900,00zł i 10830,00zł) dla której Wydział Ksiąg Wieczystych Sądu Rejonowego w Suwałkach prowadzi księgę wieczystą o numerze SU1S/00069226/4.
Suma oszacowania działki wraz z udziałem w drodze dojazdowej wynosi 125730,00 zł, zaś cena wywołania jest równa 3/4 sumy oszacowania i wynosi 94297,50 zł. Rekojmia wynosi: 12573,00 zł.
W ciągu dwóch tygodni przed licytacją wolno oglądać wyżej wymienioną nieruchomość w dni powszednie od godz. 09:00 do godz. 15:00.
Suma oszacowania wynosi 125 730,00 zł, zaś cena wywołania jest równa 3/4 sumy oszacowania i wynosi 94 297,50 zł. Licytant przystępujący do przetargu powinien złożyć rękojmię w wysokości jednej dziesiątej sumy oszacowania, to jest kwotę 12 573,00 zł.
Stawienie się jednego licytanta wystarcza do odbycia przetargu.
- nieruchomości, której położonej przy , 16-423 Bakałarzewo, dla której Sąd Rejonowy w Suwałkach (adres: ul. Waryńskiego 45, Suwałki, 16-400 Suwałki) prowadzi księgę wieczystą o numerze SU1S/00069226/4.
Opis nieruchomości:
Działki położone przy Dolinie Rospudy. Każda z działek, poprzez udział w działce o numerze 254/5 (droga dojazdowa), posiada dostęp do Jeziora Sumowo Bakałarzewskie.
Dłużnik współpracuje z komornikiem w celu sprzedaży nieruchomości.
Prawdopodobnie sprzedaż tylko 1 lub 2 działek zaspokoi wierzycieli.
Działki będą sprzedawane w następującej kolejności, aż do zaspokojenia wierzycieli: 254/18, 254/10, 254/17, 254/9, 254/16, 254/8, 254/15, 254/7, 254/14, 254/12, 254/11, 254/13, 254/6.
11) Nieruchomość niezabudowana, działka nr 254/11 o pow. 0,3016 ha, Bakałarzewo wraz z udziałem 4/100 w drodze dojazdowej (działka nr 254/5) (wartość działki, udziału: 113100,00zł i 10830,00zł) dla której Wydział Ksiąg Wieczystych Sądu Rejonowego w Suwałkach prowadzi księgę wieczystą o numerze SU1S/00069226/4.
Suma oszacowania działki z udziałem w drodze dojazdowej wynosi 123930,00 zł, zaś cena wywołania jest równa 3/4 sumy oszacowania i wynosi 92947,50 zł. Rękojmia wynosi: 12393,00 zł
W ciągu dwóch tygodni przed licytacją wolno oglądać wyżej wymienioną nieruchomość w dni powszednie od godz. 09:00 do godz. 15:00.
Suma oszacowania wynosi 123 930,00 zł, zaś cena wywołania jest równa 3/4 sumy oszacowania i wynosi 92 947,50 zł. Licytant przystępujący do przetargu powinien złożyć rękojmię w wysokości jednej dziesiątej sumy oszacowania, to jest kwotę 12 393,00 zł.
Stawienie się jednego licytanta wystarcza do odbycia przetargu.
- nieruchomości, której położonej przy , 16-423 Bakałarzewo, dla której Sąd Rejonowy w Suwałkach (adres: ul. Waryńskiego 45, Suwałki, 16-400 Suwałki) prowadzi księgę wieczystą o numerze SU1S/00069226/4.
Opis nieruchomości:
Działki położone przy Dolinie Rospudy. Każda z działek, poprzez udział w działce o numerze 254/5 (droga dojazdowa), posiada dostęp do Jeziora Sumowo Bakałarzewskie.
Dłużnik współpracuje z komornikiem w celu sprzedaży nieruchomości.
Prawdopodobnie sprzedaż tylko 1 lub 2 działek zaspokoi wierzycieli.
Działki będą sprzedawane w następującej kolejności, aż do zaspokojenia wierzycieli: 254/18, 254/10, 254/17, 254/9, 254/16, 254/8, 254/15, 254/7, 254/14, 254/12, 254/11, 254/13, 254/6.
12) Nieruchomość niezabudowana, działka nr 254/13 o pow.0,3001 ha, Bakałarzewo wraz z udziałem 3/100 w drodze dojazdowej (działka nr 254/5) (wartość działki, udziału: 112600,00zł i 8120,00zł) dla której Wydział Ksiąg Wieczystych Sądu Rejonowego w Suwałkach prowadzi księgę wieczystą o numerze SU1S/00069226/4.
Suma oszacowania działki wraz z udziałem w drodze dojazdowej wynosi 120720,00 zł, zaś cena wywołania jest równa 3/4 sumy oszacowania i wynosi 90540,00 zł. Rękojmia wynosi: 12072,00 zł.
W ciągu dwóch tygodni przed licytacją wolno oglądać wyżej wymienioną nieruchomość w dni powszednie od godz. 09:00 do godz. 15:00.
Suma oszacowania wynosi 120 720,00 zł, zaś cena wywołania jest równa 3/4 sumy oszacowania i wynosi 90 540,00 zł. Licytant przystępujący do przetargu powinien złożyć rękojmię w wysokości jednej dziesiątej sumy oszacowania, to jest kwotę 12 072,00 zł.
Stawienie się jednego licytanta wystarcza do odbycia przetargu.
- nieruchomości, której położonej przy , 16-423 Bakałarzewo, dla której Sąd Rejonowy w Suwałkach (adres: ul. Waryńskiego 45, Suwałki, 16-400 Suwałki) prowadzi księgę wieczystą o numerze SU1S/00069226/4.
Opis nieruchomości:
Działki położone przy Dolinie Rospudy. Każda z działek, poprzez udział w działce o numerze 254/5 (droga dojazdowa), posiada dostęp do Jeziora Sumowo Bakałarzewskie.
Dłużnik współpracuje z komornikiem w celu sprzedaży nieruchomości.
Prawdopodobnie sprzedaż tylko 1 lub 2 działek zaspokoi wierzycieli.
Działki będą sprzedawane w następującej kolejności, aż do zaspokojenia wierzycieli: 254/18, 254/10, 254/17, 254/9, 254/16, 254/8, 254/15, 254/7, 254/14, 254/12, 254/11, 254/13, 254/6.
13) Nieruchomość niezabudowana, działka nr 254/6 o pow. 0,3173 ha, Bakałarzewo wraz z udziałem 4/100 w drodze dojazdowej (działka nr 254/5) (wartość działki, udziału: 119000,00zł i 10830,00zł) dla której Wydział Ksiąg Wieczystych Sądu Rejonowego w Suwałkach prowadzi księgę wieczystą o numerze SU1S/00069226/4.
Suma oszacowania działki wraz z udziałem w drodze dojazdowej wynosi 129830,00 zł, zaś cena wywołania jest równa 3/4 sumy oszacowania i wynosi 97372,50 zł. Rękojmia wynosi: 12983,00 zł.
W ciągu dwóch tygodni przed licytacją wolno oglądać wyżej wymienioną nieruchomość w dni powszednie od godz. 09:00 do godz. 15:00.
Suma oszacowania wynosi 129 830,00 zł, zaś cena wywołania jest równa 3/4 sumy oszacowania i wynosi 97 372,50 zł. Licytant przystępujący do przetargu powinien złożyć rękojmię w wysokości jednej dziesiątej sumy oszacowania, to jest kwotę 12 983,00 zł.
Stawienie się jednego licytanta wystarcza do odbycia przetargu.
Zgodnie z art. 8671 § 1 kpc przystępujący do przetargu jest obowiązany złożyć rękojmię w wysokości jednej dziesiątej sumy oszacowania, najpóźniej w dniu poprzedzającym przetarg. Warunkiem udziału w licytacji jest złożenie rękojmi.
Rękojmię można wpłacić gotówką w kancelarii komornika lub na rachunek bankowy komornika: PKO BP S.A. 86 1020 1332 0000 1302 0328 4569.
Rękojmi nie składa się, jeżeli suma oszacowania jest niższa niż pięć tysięcy złotych.
Prawa osób trzecich nie będą przeszkodą do przeprowadzenia licytacji i przybicia na rzecz nabywcy bez zastrzeżeń, jeżeli osoby te przed rozpoczęciem przetargu nie złożą dowodu, że wniosły powództwo o zwolnienie przedmiotów od egzekucji i uzyskały w tym zakresie orzeczenie wstrzymujące egzekucję.
Użytkowanie, służebności i prawa dożywotnika, jeżeli nie są ujawnione w księdze wieczystej lub przez złożenie dokumentu do zbioru dokumentów i nie zostaną zgłoszone najpóźniej na trzy dni przed rozpoczęciem licytacji, nie będą uwzględnione w dalszym toku egzekucji i wygasną z chwilą uprawomocnienia się postanowienia o przysądzeniu własności.
Zgodnie z art. 976 kpc, w przetargu nie mogą uczestniczyć: dłużnik, komornik, ich małżonkowie, dzieci, rodzice i rodzeństwo oraz osoby obecne na licytacji w charakterze urzędowym, licytant, który nie wykonał warunków poprzedniej licytacji, osoby, które mogą nabyć nieruchomość tylko za zezwoleniem organu państwowego, a zezwolenia tego nie przedstawiły.
Komornik Sądowy
Tomasz Zakrzewski
Pouczenie:
Zgodnie z art. 10136 § 1 kpc, jeżeli sprzedaż nieruchomości nie nastąpi w trybie sprzedaży z wolnej ręki, nieruchomość podlega sprzedaży w drodze licytacji, do której stosuje się przepisy o licytacji w egzekucji z ruchomości. O terminie licytacji komornik zawiadamia uczestników postępowania stosownie do art. 954 kpc.
Zgodnie z art. 954 kpc
Obwieszczenie o licytacji doręcza się:
1) uczestnikom postępowania;
2) organowi gminy, urzędowi skarbowemu miejsca położenia nieruchomości oraz organom ubezpieczeń społecznych z wezwaniem, aby najpóźniej w terminie licytacji zgłosiły zestawienie podatków i innych danin publicznych, należnych do dnia licytacji.
Zgodnie z art. 8671 kpc
§ 1. Przystępujący do przetargu jest obowiązany złożyć rękojmię w wysokości jednej dziesiątej sumy oszacowania, najpóźniej w dniu poprzedzającym przetarg. Rękojmi nie składa się, jeżeli suma oszacowania jest niższa niż pięć tysięcy złotych.
§ 2. Rękojmię złożoną przez licytanta, któremu udzielono przybicia, zatrzymuje się; pozostałym licytantom rękojmię zwraca się niezwłocznie.
§ 3. Jeżeli nabywca nie wykonał w terminie warunków licytacji co do zapłaty ceny, traci rękojmię, a skutki przybicia wygasają. Z utraconej rękojmi pokrywa się koszty egzekucji związanej ze sprzedażą, a reszta wchodzi w skład sumy uzyskanej w egzekucji albo jeżeli egzekucja została umorzona jest przelewana na dochód Skarbu Państwa.
§ 4. Rękojmi nie składa wierzyciel przystępujący do przetargu, któremu przysługuje wierzytelność o wartości nie niższej od wysokości rękojmi i jeżeli do tej wysokości jego wierzytelność oraz prawa korzystające z pierwszeństwa przed tą wierzytelnością znajdują pokrycie w cenie wywołania. Jeżeli wartość wierzytelności jest niższa od wysokości rękojmi albo znajduje tylko częściowe pokrycie w cenie wywołania, wysokość rękojmi obniża się - w pierwszym przypadku do różnicy między pełną rękojmią a wartością wierzytelności, w drugim przypadku - do części wartości wierzytelności niepokrytej w cenie wywołania.
Zgodnie z art. 8672 kpc
§ 1. Licytacja odbywa się publicznie.
§ 2. W przetargu nie mogą uczestniczyć: dłużnik, komornik, ich małżonkowie, dzieci, rodzice i rodzeństwo, osoby obecne na licytacji w charakterze urzędowym oraz licytant, który nie wykonał warunków poprzedniej licytacji.
§ 3. Stawienie się jednego licytanta wystarcza do odbycia przetargu.
§ 4. Pełnomocnictwo do udziału w przetargu powinno być stwierdzone dokumentem z podpisem urzędowo poświadczonym, chyba że chodzi o pełnomocnictwo udzielone adwokatowi lub radcy prawnemu.
Zgodnie z art. 871 kpc
Nabywca jest obowiązany zapłacić cenę nabycia natychmiast po udzieleniu mu przybicia. Gdy jednak cena nabycia przewyższa pięćset złotych, obowiązek nabywcy ogranicza się do złożenia natychmiast jednej piątej ceny, nie mniej jednak niż pięćset złotych, przy czym resztę ceny, na którą zalicza się złożoną rękojmię, uiszcza się w dniu następnym w godzinach urzędowania kancelarii komorniczej lub na rachunek bankowy komornika do godziny osiemnastej dnia następnego. Jeżeli ten dzień przypada w sobotę lub dzień ustawowo wolny od pracy, cenę uiszcza się w następnym dniu po dniu albo dniach wolnych od pracy.


