Szczegóły licytacji
Komornik Sądowy
przy Sądzie Rejonowym dla Krakowa - Podgórza w Krakowie
Piotr Legutko
Kancelaria Komornicza, Madalińskiego 19/8, Kraków, 30-303 Kraków
tel. (12) 2571273 / fax. (12) 2571273
Sygnatura: KM 536/23
OBWIESZCZENIE O PIERWSZEJ LICYTACJI NIERUCHOMOŚCI W DRODZE LICYTACJI ELEKTRONICZNEJ
Komornik Sądowy przy Sądzie Rejonowymdla Krakowa - Podgórza w Krakowie Piotr Legutko podaje do publicznej wiadomości, że o godzinie 09:00 w dniu 16.04.2026 - rozpocznie się w trybie ustalonym w art. 986 z indeksem 1 i nast. ustawy z dnia 17 listopada 1964 r. Kodeks postępowania cywilnego (dalej: kpc)
pierwsza licytacja
- nieruchomości położonej przy Pastelowa 11, 30-386 M. Kraków, dla której Sąd Rejonowy dla Krakowa-Podgórza w Krakowie IV Wydział Ksiąg Wieczystych (adres: ul. Przy Rondzie 7, Kraków, 31-542 Kraków) prowadzi księgę wieczystą o numerze KR1P/00094149/6.
Opis nieruchomości:
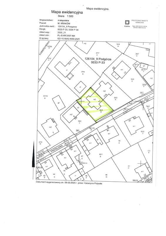
Działka zabudowana nr 35/1 położona w Krakowie, obręb 33 Podgórze o powierzchni 0,0429 ha, dla której SĄD REJONOWY DLA KRAKOWA - PODGÓRZA W KRAKOWIE IV WYDZIAŁ KSIĄG WIECZYSTYCH prowadzi księgę wieczystą KR1P/00094149/6. Nieruchomość położona jest w Krakowie, przy ulicy Pastelowej, w pobliżu skrzyżowania z ulicą Kobierzyńską, w odległości około 5,3 km od ścisłego centrum miasta – Rynku Głównego. W bezpośrednim sąsiedztwie nieruchomości znajdują się tereny zabudowy mieszkaniowej jednorodzinnej, w pobliżu także zabudowa wielorodzinna, usługowa oraz towarzysząca jej infrastruktura. Dostępność komunikacyjna bardzo dobra. Teren działki o kształcie regularnym, zabudowany i zagospodarowany. Działka posiada bezpośredni dostęp do drogi. Dojazd drogą asfaltową - ul. Pastelowa. Zgodnie z Uchwałą Nr LXXI/1989/21 Rady Miasta Krakowa z dn. 3 listopada 2021 r. dot. uchwalenia MPZP nieruchomość znajduje się w obszarze oznaczonym jako MNi/MWn t.j. tereny zabudowy mieszkaniowej jednorodzinnej istniejącej i wielorodzinnej niskiej intensywności oraz niewielki fragment komunikacja. Na działce posadowiony jest budynek mieszkalny oznaczony nr 11, teren ogrodzony. Dostęp do infrastruktury technicznej: sieć energetyczna, wodna, gazowa, kanalizacyjna.
Budynek mieszkalny jednorodzinny, 3-kondygnacyjny (parter, piętro + poddasze). Dodatkowo w niewielkiej części niskie podpiwniczenie. Posadowiony jest w zabudowie bliźniaczej, zbudowany w konstrukcji tradycyjnej murowanej. Budynek z lat 90-tych XX wieku o powierzchni użytkowej 258,99 m 2 (powierzchnia zabudowy wynosi 110 m2) W dacie oględzin budynek w trakcie gruntownej modernizacji i remontu (adaptacja wnętrza na kilkanaście mniejszych modułów mieszkalnych). Przeprowadzono już wstępne prace, zerwane zostały wszystkie wykończenia podłogowe, wykończenia schodów, ścian itd. Nastąpiły zmiany układu ścian, prace związane z nowym podziałem przestrzeni. Wykonano częściowo prace izolacyjne dachu. Brak kotłowni.
Wykończenie i konstrukcja budynku: ściany – cegła, pustaki żużlowe, pustaki ceramiczne. Dach kryty blachą trapezowa. Podłogi – betonowe. Ściany wewnętrzne surowe częściowo murowane, częściowo ścianki działowe z płyt karton - gips bez wykończenia. Okna – PCV (starego typu) + nieliczne drewniane. Brak stolarki drzwiowej wewnętrznej. Drzwi zewnętrzne - robocze. Instalacje - zdemontowane (planowano nowe instalacje elektryczne, gazowe, wodne, c.o.). Wykonano częściowo prace izolacyjne dachu. Elewacja- otynkowana, z elementami dekoracyjnymi z drewna ze śladami zużycia.
Suma oszacowania wynosi 1 439 300,00 zł, zaś cena wywołania jest równa 3/4 sumy oszacowania i wynosi 1 079 475,00 zł.
Licytant przystępujący do przetargu powinien złożyć rękojmię w wysokości jednej dziesiątej sumy oszacowania, to jest kwotę 143 930,00 zł.
Rękojmię należy złożyć na rachunek bankowy komornika 33 8619 0006 0030 0325 8099 0001 najpóźniej na 2 dni robocze przed rozpoczęciem przetargu. Za datę złożenia rękojmi przyjmuje się dzień uznania rachunku bankowego komorika. Wraz z rękojmią licytant zobowiązany jest do podania w systemie teleinformatycznym danych niezbędnych do wydania postanowienia o przybiciu: numeru PESEL, numeru dokumentu stwierdzającego tożsamość i oświadczenia, czy pozostaje w związku małżeńskim, a jeżeli tak, czy nieruchomość zamierza nabyć do majątku wspólnego czy osobistego, oraz do wskazania, czy licytuje we własnym imieniu czy jako pełnomocnik innej osoby, a także innych danych, jeżeli potrzeba ich podania wynika z przepisów odrębnych ustaw.
Nieruchomość można oglądać w następujących terminach:
| Data oględzin | Godziny oględzin |
|---|---|
| 09.04.2026 | 10:00 - 10:30 |
W systemie teleinformatycznym udostępnia się również protokół opisu i oszacowania nieruchomości.
Sprzedaż dokonywana jest w drodze licytacji elektronicznej. Uczestnictwo w przetargu wymaga założenia konta w systemie teleinformatycznym obsługującym licytacje elektroniczne dostępnym pod adresem https://elicytacje.komornik.pl/ oraz przystąpienia do przetargu na dwa dni robocze przed jego rozpoczęciem. Licytant składa rękojmię najpóźniej na 2 dni robocze przed rozpoczęciem przetargu, a jeżeli bierze udział w licytacji jako pełnomocnik innej osoby, to przedkłada dodatkowo swoje umocowanie. Udział jednego licytanta wystarcza do odbycia przetargu.
Na podstawie art. 986 z indeksem 4 § 2 kpc warunkiem udziału w przetargu jest utworzenie indywidualnego konta w systemie teleinformatycznym.
Licytacja wyżej wymienionej nieruchomości odbywa się w trybie elektronicznym i zakończy się w dniu: 23.04.2026 o godzinie: 14:00. Na podstawie art. 986 z indeksem 7 po § 3 z indeksem 1 kpc, jeżeli w ciągu 5 minut przed planowanym terminem zakończenia przetargu zgłoszono postąpienie, termin ten ulega odroczeniu o 5 minut. Jeżeli w dodatkowym czasie zgłoszono dalsze postąpienie, termin zakończenia przetargu podlega każdorazowo odroczeniu o kolejne 5 minut, aż do momentu gdy ustaną postąpienia.
Prawa osób trzecich nie będą przeszkodą do licytacji i przysądzenia własności na rzecz nabywcy bez zastrzeżeń, jeżeli osoby te przed rozpoczęciem przetargu nie złożą dowodu, że wniosły powództwo o zwolnienie przedmiotów od egzekucji i uzyskały w tym zakresie orzeczenie wstrzymujące egzekucję.
Użytkowanie, służebności i prawa dożywotnika, jeżeli nie są ujawnione w księdze wieczystej lub przez złożenie dokumentu do zbioru dokumentów i nie zostaną zgłoszone najpóźniej na trzy dni przed rozpoczęciem licytacji, nie będą uwzględnione w dalszym toku egzekucji i wygasną z chwilą uprawomocnienia się postanowienia o przysądzeniu własności.
Zgodnie z art. 976 kpc, w przetargu nie mogą uczestniczyć: dłużnik, komornik, ich małżonkowie, dzieci, rodzice i rodzeństwo oraz osoby obecne na licytacji w charakterze urzędowym, licytant, który nie wykonał warunków poprzedniej licytacji, osoby, które mogą nabyć nieruchomość tylko za zezwoleniem organu państwowego, a zezwolenia tego nie przedstawiły.
POUCZENIE o normach KPC
Art. 967 [Zapłata ceny] Po uprawomocnieniu się postanowienia o przybiciu komornik wzywa licytanta, który uzyskał przybicie (nabywcę), aby w ciągu dwóch tygodni od dnia otrzymania wezwania złożył na rachunek depozytowy Ministra Finansów cenę nabycia z potrąceniem rękojmi złożonej w gotówce. Na wniosek nabywcy komornik może oznaczyć dłuższy termin uiszczenia ceny nabycia, nieprzekraczający jednak miesiąca.
Art. 969 [Utrata rękojmi]
§ 1. Jeżeli nabywca nie wykonał w terminie warunków licytacyjnych co do zapłaty ceny, traci rękojmię, a skutki przybicia wygasają. Uiszczoną część ceny zwraca się. Następstwa te sąd stwierdza postanowieniem, na które przysługuje zażalenie.
§ 2. Od nabywcy nieskładającego rękojmi, który nie wykonał warunków licytacyjnych, ściąga się rękojmię w trybie egzekucji należności sądowych.
§ 3. Z rękojmi utraconej przez nabywcę lub od niego ściągniętej pokrywa się koszty egzekucji związane ze sprzedażą, a reszta wchodzi w skład sumy uzyskanej w egzekucji albo jeżeli egzekucja została umorzona, jest przelewana na dochód Skarbu Państwa.
Art. 971 [Wady nieruchomości] Nabywca nie może żądać unieważnienia nabycia ani zmniejszenia ceny z powodu wad nieruchomości lub przedmiotów razem z nią nabytych.
Art. 976 [Wyłączeni z licytacji]
§ 1. W przetargu nie mogą uczestniczyć: dłużnik, komornik, ich małżonkowie, dzieci, rodzice i rodzeństwo oraz osoby obecne na licytacji w charakterze urzędowym, licytant, który nie wykonał warunków poprzedniej licytacji, osoby, które mogą nabyć nieruchomość tylko za zezwoleniem organu państwowego, a zezwolenia tego nie przedstawiły.
§ 2. Stawienie się jednego licytanta wystarcza do odbycia przetargu.
Art. 978 [Przebieg przetargu]
§ 2. Postąpienie nie może wynosić mniej niż jeden procent ceny wywołania, z zaokrągleniem wzwyż do pełnych złotych.
Art. 981 [Umorzenie egzekucji] Jeżeli należność wierzyciela będzie uiszczona wraz z kosztami przed zamknięciem przetargu, komornik umorzy egzekucję.
Art. 986 z indeksem 7 [Przebieg przetargu]
§ 3 z indeksem 1. Jeżeli w ciągu 5 minut przed planowanym terminem zakończenia przetargu zgłoszono postąpienie, termin ten ulega odroczeniu o 5 minut. Jeżeli w dodatkowym czasie zgłoszono dalsze postąpienie, termin zakończenia przetargu podlega każdorazowo odroczeniu o kolejne 5 minut, aż do momentu gdy ustaną postąpienia.
§ 5. Przetarg wygrywa licytant, którego oferta była w chwili zakończenia przetargu najwyższa.
Art. 986 z indeksem 8 [Skarga na odmowę dopuszczenia do przetargu]
§ 1. Skargę na odmowę dopuszczenia do przetargu można złożyć w terminie 3 dni od dnia odmowy dopuszczenia do przetargu, a na przebieg przetargu - w terminie 3 dni od dnia jego zakończenia.
§ 2. Licytanci i osoby, których nie dopuszczono do przetargu, mogą złożyć skargę wyłącznie za pośrednictwem systemu teleinformatycznego.
§ 3. Skargę za pośrednictwem systemu teleinformatycznego mogą złożyć także osoby niewymienione w § 2, o ile posiadają w tym systemie konto.
Komornik Sądowy
Piotr Legutko


