Szczegóły licytacji
Bytom, dnia 18/02/2026 r
Komornik Sądowy przy Sądzie Rejonowym w Bytomiu
Wiesław Gaczyński
Kancelaria Komornicza nr I
ul. Dworcowa 24, 41-902 Bytom
tel./fax. 032 281 26 12 ING Bank Śląski SA 42105012301000009099470487
Syg. akt , Km 173/25
O B W I E S Z C Z E N I E
O PIERWSZEJ LICYTACJI NIERUCHOMOŚCI W DRODZE LICYTACJI ELEKTRONICZNEJ
Komornik Sądowy Przy Sądzie Rejonowym w Bytomiu Wiesław Gaczyński podaje do publicznej wiadomości, że w sprawie Km 173/25 w postępowaniu w drodze sprzedaży publicznej rozpocznie się w trybie ustalonym w art. 986[4] § 4 ustawy z dnia 17 listopada 1964 r. Kodeks postępowania cywilnego (dalej: kpc) pierwsza licytacja w trybie elektronicznym następujących nieruchomości:
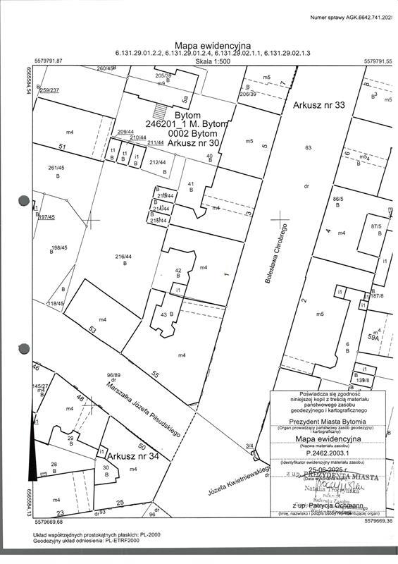
nieruchomość zapisana w KW prowadzonej przez Sąd Rejonowy w Bytomiu pod nr KA1Y/00006384/0 opisana jako LOKAL NIEMIESZKALNY STANOWIĄCY ODRĘBNĄ NIERUCHOMOŚĆ. Położenie BYTOM, CHROBREGO , 1.
Udział związany z własnością lokalu - wielkość udziału w nieruchomości wspólnej, którą stanowi grunt oraz części budynku i urządzenia, które nie służą wyłącznie do użytku właścicieli lokali - 62/1000. Dla nieruchomości gruntowej prowadzona jest księga wieczysta KW KA1Y/00004650/2.
- suma oszacowania wynosi: 69.864,00 zł (sprzedaż towaru podlega opodatkowaniu podatkiem VAT w wysokości 23%. Wyżej zaprezentowana kwota stanowi kwotę brutto.)
- cena wywołania wynosi : 52.398,00 zł (sprzedaż towaru podlega opodatkowaniu podatkiem VAT w wysokości 23%. Wyżej zaprezentowana kwota stanowi kwotę brutto.)
W ciągu dwóch tygodni przed licytacją wolno oglądać wyżej wymienioną nieruchomość w dni powszednie od godz. 10:00 do godz. 11:00. W systemie teleinformatycznym udostępnia się natomiast protokół opisu i oszacowania.
Licytant przystępujący do przetargu powinien złożyć rękojmię w wysokości jednej dziesiątej sumy oszacowania , to jest kwotę 6.986,40 zł Rękojmię należy złożyć na rachunek bankowy komornika ING Bank Śląski SA 42105012301000009099470487 najpóźniej na 2 dni robocze przed rozpoczęciem przetargu. Za datę złożenia rękojmi przyjmuje się dzień uznania rachunku bankowego komornika.
Przetarg odbywa się w trybie sprzedaży nieruchomości w drodze licytacji elektronicznej i rozpocznie się w dniu: 19.03.2026 o godzinie: 11.00, a zakończy się w dniu 26.03.2026 o godzinie: 11.00. Na podstawie art. 986[7] § 3[1] kpc, jeżeli w ciągu 5 minut przed planowanym terminem zakończenia przetargu zgłoszono postąpienie, termin ten ulega odroczeniu o 5 minut. Jeżeli w dodatkowym czasie zgłoszono dalsze postąpienie, termin zakończenia przetargu podlega każdorazowo odroczeniu o kolejne 5 minut, aż do momentu gdy ustaną postąpienia.
Sprzedaż dokonywana jest w drodze licytacji elektronicznej. Uczestnictwo w przetargu wymaga założenia konta w systemie teleinformatycznym obsługującym licytacje elektroniczne dostępnym pod adresem https://elicytacje.komornik.pl/ oraz przystąpienia do przetargu na dwa dni robocze przed jego rozpoczęciem. Licytant składa rękojmię najpóźniej na 2 dni robocze przed rozpoczęciem przetargu, a jeżeli bierze udział w licytacji jako pełnomocnik innej osoby, to przedkłada dodatkowo swoje umocowanie. Udział jednego licytanta wystarcza do odbycia przetargu.
Na podstawie art. 986[4] § 2 kpc warunkiem udziału w przetargu jest utworzenie indywidualnego konta w systemie teleinformatycznym.
Prawa osób trzecich nie będą przeszkodą do przeprowadzenia licytacji i przybicia na rzecz nabywcy bez zastrzeżeń, jeżeli osoby te przed rozpoczęciem przetargu nie złożą dowodu, że wniosły powództwo o zwolnienie przedmiotów od egzekucji i uzyskały w tym zakresie orzeczenie wstrzymujące egzekucję.
Użytkowanie, służebności i prawa dożywotnika, jeżeli nie są ujawnione w księdze wieczystej lub przez złożenie dokumentu do zbioru dokumentów i nie zostaną zgłoszone najpóźniej na trzy dni przed rozpoczęciem licytacji, nie będą uwzględnione w dalszym toku egzekucji i wygasną z chwilą uprawomocnienia się postanowienia o przysądzeniu własności.
Zgodnie z art. 976 kpc, w przetargu nie mogą uczestniczyć: dłużnik, komornik, ich małżonkowie, dzieci, rodzice i rodzeństwo oraz osoby obecne na licytacji w charakterze urzędowym, licytant, który nie wykonał warunków poprzedniej licytacji, osoby, które mogą nabyć nieruchomość tylko za zezwoleniem organu państwowego, a zezwolenia tego nie przedstawiły.
Komornik Sądowy
przy Sądzie Rejonowym w Bytomiu
Wiesław Gaczyński
m.p.
kod : ICB
Komornik Sądowy przy Sądzie Rejonowym w Bytomiu
Wiesław Gaczyński
Kancelaria Komornicza nr I
ul. Dworcowa 24, 41-902 Bytom
tel./fax. 032 281 26 12 ING Bank Śląski SA 42105012301000009099470487
Syg. akt , Km 173/25
O B W I E S Z C Z E N I E
O PIERWSZEJ LICYTACJI NIERUCHOMOŚCI W DRODZE LICYTACJI ELEKTRONICZNEJ
Komornik Sądowy Przy Sądzie Rejonowym w Bytomiu Wiesław Gaczyński podaje do publicznej wiadomości, że w sprawie Km 173/25 w postępowaniu w drodze sprzedaży publicznej rozpocznie się w trybie ustalonym w art. 986[4] § 4 ustawy z dnia 17 listopada 1964 r. Kodeks postępowania cywilnego (dalej: kpc) pierwsza licytacja w trybie elektronicznym następujących nieruchomości:
nieruchomość zapisana w KW prowadzonej przez Sąd Rejonowy w Bytomiu pod nr KA1Y/00006384/0 opisana jako LOKAL NIEMIESZKALNY STANOWIĄCY ODRĘBNĄ NIERUCHOMOŚĆ. Położenie BYTOM, CHROBREGO , 1.
Udział związany z własnością lokalu - wielkość udziału w nieruchomości wspólnej, którą stanowi grunt oraz części budynku i urządzenia, które nie służą wyłącznie do użytku właścicieli lokali - 62/1000. Dla nieruchomości gruntowej prowadzona jest księga wieczysta KW KA1Y/00004650/2.
- suma oszacowania wynosi: 69.864,00 zł (sprzedaż towaru podlega opodatkowaniu podatkiem VAT w wysokości 23%. Wyżej zaprezentowana kwota stanowi kwotę brutto.)
- cena wywołania wynosi : 52.398,00 zł (sprzedaż towaru podlega opodatkowaniu podatkiem VAT w wysokości 23%. Wyżej zaprezentowana kwota stanowi kwotę brutto.)
W ciągu dwóch tygodni przed licytacją wolno oglądać wyżej wymienioną nieruchomość w dni powszednie od godz. 10:00 do godz. 11:00. W systemie teleinformatycznym udostępnia się natomiast protokół opisu i oszacowania.
Licytant przystępujący do przetargu powinien złożyć rękojmię w wysokości jednej dziesiątej sumy oszacowania , to jest kwotę 6.986,40 zł Rękojmię należy złożyć na rachunek bankowy komornika ING Bank Śląski SA 42105012301000009099470487 najpóźniej na 2 dni robocze przed rozpoczęciem przetargu. Za datę złożenia rękojmi przyjmuje się dzień uznania rachunku bankowego komornika.
Przetarg odbywa się w trybie sprzedaży nieruchomości w drodze licytacji elektronicznej i rozpocznie się w dniu: 19.03.2026 o godzinie: 11.00, a zakończy się w dniu 26.03.2026 o godzinie: 11.00. Na podstawie art. 986[7] § 3[1] kpc, jeżeli w ciągu 5 minut przed planowanym terminem zakończenia przetargu zgłoszono postąpienie, termin ten ulega odroczeniu o 5 minut. Jeżeli w dodatkowym czasie zgłoszono dalsze postąpienie, termin zakończenia przetargu podlega każdorazowo odroczeniu o kolejne 5 minut, aż do momentu gdy ustaną postąpienia.
Sprzedaż dokonywana jest w drodze licytacji elektronicznej. Uczestnictwo w przetargu wymaga założenia konta w systemie teleinformatycznym obsługującym licytacje elektroniczne dostępnym pod adresem https://elicytacje.komornik.pl/ oraz przystąpienia do przetargu na dwa dni robocze przed jego rozpoczęciem. Licytant składa rękojmię najpóźniej na 2 dni robocze przed rozpoczęciem przetargu, a jeżeli bierze udział w licytacji jako pełnomocnik innej osoby, to przedkłada dodatkowo swoje umocowanie. Udział jednego licytanta wystarcza do odbycia przetargu.
Na podstawie art. 986[4] § 2 kpc warunkiem udziału w przetargu jest utworzenie indywidualnego konta w systemie teleinformatycznym.
Prawa osób trzecich nie będą przeszkodą do przeprowadzenia licytacji i przybicia na rzecz nabywcy bez zastrzeżeń, jeżeli osoby te przed rozpoczęciem przetargu nie złożą dowodu, że wniosły powództwo o zwolnienie przedmiotów od egzekucji i uzyskały w tym zakresie orzeczenie wstrzymujące egzekucję.
Użytkowanie, służebności i prawa dożywotnika, jeżeli nie są ujawnione w księdze wieczystej lub przez złożenie dokumentu do zbioru dokumentów i nie zostaną zgłoszone najpóźniej na trzy dni przed rozpoczęciem licytacji, nie będą uwzględnione w dalszym toku egzekucji i wygasną z chwilą uprawomocnienia się postanowienia o przysądzeniu własności.
Zgodnie z art. 976 kpc, w przetargu nie mogą uczestniczyć: dłużnik, komornik, ich małżonkowie, dzieci, rodzice i rodzeństwo oraz osoby obecne na licytacji w charakterze urzędowym, licytant, który nie wykonał warunków poprzedniej licytacji, osoby, które mogą nabyć nieruchomość tylko za zezwoleniem organu państwowego, a zezwolenia tego nie przedstawiły.
Komornik Sądowy
przy Sądzie Rejonowym w Bytomiu
Wiesław Gaczyński
m.p.
kod : ICB
Kategorialokale użytkowe
Wielkość udziału1/1
Powierzchnia [m^2]41,80
Rok budowy [rok]1888
Liczba pięter w budynku4
Piętro0
PomieszczeniaWC
Link do E-LicytacjiPrzejdź


