Szczegóły licytacji
Komornik Sądowy
przy Sądzie Rejonowym w Kołobrzegu
Tomasz Hrycaj
Kancelaria Komornicza, ul. Sienkiewicza 10/201, Kołobrzeg, 78-100 Kołobrzeg
tel. 572 564 396 / fax.
Sygnatura: GKm 27/24
OBWIESZCZENIE O PIERWSZEJ LICYTACJI NIERUCHOMOŚCI W DRODZE LICYTACJI ELEKTRONICZNEJ
Komornik Sądowy przy Sądzie Rejonowym w Kołobrzegu Tomasz Hrycaj Kancelaria Komornicza nr V w Kołobrzegu podaje do publicznej wiadomości, że w sprawie GKm 27/24 rozpocznie się w trybie ustalonym w art. 9864 § 4 ustawy z dnia 17 listopada 1964 r. Kodeks postępowania cywilnego (dalej: kpc) pierwsza licytacja w trybie elektronicznym następujących nieruchomości:
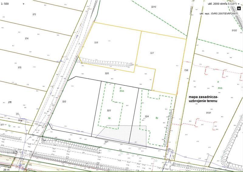
- nieruchomości położonej przy działki nr 32/6, 32/7,Niekanin, 78-100 Kołobrzeg, dla której Sąd Rejonowy w Kołobrzegu V Wydział Ksiąg Wieczystych (adres: ul. ul. Katedralna 13/78-100, Kołobrzeg, 78-100 Kołobrzeg) prowadzi księgę wieczystą o numerze KO1L/00020372/9.
Opis nieruchomości:
Dla terenu obejmującego przedmiotową nieruchomość niezabudowaną składającą się z działek nr 32/6 i 32/7 obowiązuje miejscowy planem ogólnym zagospodarowania przestrzennego Gminy Kołobrzeg zatwierdzony uchwałą Rady Gminy Kołobrzeg Nr XVI/84/91 z dnia 30.12.1991r., ogłoszony w Dz. Urz. Wojew. Koszalińskiego Nr 3 z dnia 29.02.1992r. ze zmianą zatwierdzoną uchwałą Rady Gminy Kołobrzeg Nr XXXIV/189/97 z dnia 30.12.1997r. ogłoszoną w Dz. Urz. Wojew. Koszalińskiego Nr 4 z dnia 25 lutego 1998r. (tekst jednolity obowiązującego planu), przedmiotowa nieruchomość położona jest na obszarze oznaczonym symbolem 35.MNR pod budownictwo jednorodzinne z rzemiosłem i usługami. Nieruchomość posiada bezpośredni dostęp do drogi publicznej. Dojazd do nieruchomości odbywa się zjazdem z drogi krajowej drogą gminną gruntową. Nieruchomość położona w terenie uzbrojonym w sieci: energetyczną (szafka usytuowana przy granicy działki) oraz projektowana jest sieć wodociągowa i kanalizacji sanitarnej.
Suma oszacowania wynosi 670 227,00 zł, zaś cena wywołania jest równa 3/4 sumy oszacowania i wynosi 502 670,25 zł. Sprzedaż towaru podlega opodatkowaniu podatkiem VAT w wysokości 23%. Wyżej zaprezentowana kwota stanowi kwotę brutto.
W ciągu dwóch tygodni przed licytacją wolno oglądać wyżej wymienioną nieruchomość w dni powszednie od godz. 08:00 do godz. 16:00. W systemie teleinformatycznym udostępnia się natomiast protokół opisu i oszacowania.
Licytant przystępujący do przetargu powinien złożyć rękojmię w wysokości jednej dziesiątej sumy oszacowania, to jest kwotę 67 022,70 zł.
Rękojmię należy złożyć na rachunek bankowy komornika 73124065081111001102321053 najpóźniej na 2 dni robocze przed rozpoczęciem przetargu.
Przetarg odbywa się w trybie sprzedaży nieruchomości w drodze licytacji elektronicznej i rozpocznie się w dniu: 19.03.2026 o godzinie: 10.00 a zakończy się w dniu 26.03.2026 o godzinie: 10.00. Na podstawie art. 9867 § 31 kpc, jeżeli w ciągu 5 minut przed planowanym terminem zakończenia przetargu zgłoszono postąpienie, termin ten ulega odroczeniu o 5 minut. Jeżeli w dodatkowym czasie zgłoszono dalsze postąpienie, termin zakończenia przetargu podlega każdorazowo odroczeniu o kolejne 5 minut, aż do momentu gdy ustaną postąpienia.
Sprzedaż dokonywana jest w drodze licytacji elektronicznej. Uczestnictwo w przetargu wymaga założenia konta w systemie teleinformatycznym obsługującym licytacje elektroniczne dostępnym pod adresem https://elicytacje.komornik.pl/ oraz przystąpienia do przetargu na dwa dni robocze przed jego rozpoczęciem. Licytant składa rękojmię najpóźniej na 2 dni robocze przed rozpoczęciem przetargu, a jeżeli bierze udział w licytacji jako pełnomocnik innej osoby, to przedkłada dodatkowo swoje umocowanie. Udział jednego licytanta wystarcza do odbycia przetargu.
Na podstawie art. 9864 § 2 kpc warunkiem udziału w przetargu jest utworzenie indywidualnego konta w systemie teleinformatycznym.
Prawa osób trzecich nie będą przeszkodą do przeprowadzenia licytacji i przybicia na rzecz nabywcy bez zastrzeżeń, jeżeli osoby te przed rozpoczęciem przetargu nie złożą dowodu, że wniosły powództwo o zwolnienie przedmiotów od egzekucji i uzyskały w tym zakresie orzeczenie wstrzymujące egzekucję.
Użytkowanie, służebności i prawa dożywotnika, jeżeli nie są ujawnione w księdze wieczystej lub przez złożenie dokumentu do zbioru dokumentów i nie zostaną zgłoszone najpóźniej na trzy dni przed rozpoczęciem licytacji, nie będą uwzględnione w dalszym toku egzekucji i wygasną z chwilą uprawomocnienia się postanowienia o przysądzeniu własności.
Zgodnie z art. 976 kpc, w przetargu nie mogą uczestniczyć: dłużnik, komornik, ich małżonkowie, dzieci, rodzice i rodzeństwo oraz osoby obecne na licytacji w charakterze urzędowym, licytant, który nie wykonał warunków poprzedniej licytacji, osoby, które mogą nabyć nieruchomość tylko za zezwoleniem organu państwowego, a zezwolenia tego nie przedstawiły.
Zgodnie z art. 18 ustawy o podatku od towarów i usług (Dz.U. Nr 54, poz. 535) komornicy sądowi wykonujący czynności egzekucyjne w rozumieniu przepisów kodeksu postępowania cywilnego są płatnikami podatku od dostawy, dokonywanej w trybie egzekucji, towarów będących własnością dłużnika lub posiadanych przez niego z naruszeniem obowiązujących przepisów. Zgodnie z art. 106 c pkt 2 o podatku od towarów i usług faktury dokumentujące dostawę towarów, o której mowa w art. 18 cytowanej ustawy, z tytułu której na dłużniku ciąży obowiązek podatkowy, wystawiają w imieniu i na rzecz dłużnika komornicy sądowi wykonujący czynności egzekucyjne w rozumieniu przepisów kodeksu postępowania cywilnego.
Komornik Sądowy
Tomasz Hrycaj


